назад

усадьба

Усадьба Кантемира

Современный вид
современный вид
Историческая справка:

В 1715 году на берегу реки Общерица была основана усадьба Кантемиров. Ее владельца, выдающегося молдавского господаря Дмитрия Кантимира за заслуги в войне с турками Петр I наградил титулом светлейшего князя и даровал территории в Севском и Московском уездах.

В Севском уезде им было основано сельцо Дмитриевка, центром которой стало его имение.

В усадебный комплекс, на тот момент, входили деревянный дом и большой парк во французском стиле.

В 1721 году здесь была построена деревянная церковь, на месте которой позже возвели каменный храм Дмитрия Солунского. На сегодняшний день он считается самой старой действующей церковью в Орловской области.

После смерти Дмитрия Кантимира его сыновья окружили имение кирпичной оградой с четырьмя декоративными сторожевыми башнями-бойницами. По сей день хорошо сохранились ворота, находившееся в северной части ограды.

В 1971 году несколько бывших имений Кантемира, в том числе и данная усадьба, перешли во владения канцлера Российской империи Александра Безбородко. Он возвел большой каменный дом на месте деревянных построек, обосновал несколько хозяйственных построек, и посадил фруктовые деревья в парке. Однако пожар 1840 года полностью уничтожил господский дом.

В 1860-ых годах усадьба была выкуплена властями Дмитровска.

В 1913-1914 года построили кирпичное здание музыкальной школы на месте бывшего господского дома.

Усадьба сильно пострадала во время Великой Отечественной войны. Было вырублено около 300 деревьев, разрушена часть стен, а парк изрыт окопами и землянками.

Сейчас от усадьбы остались лишь парк и части старинной ограды с башенками.

Место преобразовано в городской парк культуры и отдыха. Рядом с усадьбой можно открыть небольшой ресторан, мини-отель или городские точки питания. Также территорию можно использовать как зону реализации социальных проектов, направленных на сохранение этого места.

 

показать больше показать ещё
технические данные
Наименование обьекта:

"Угловая башня и ограда парка бывшей усадьбы Кантемира", XVIII в.

Состав усадьбы:

Без пообъектного состава

Адрес:

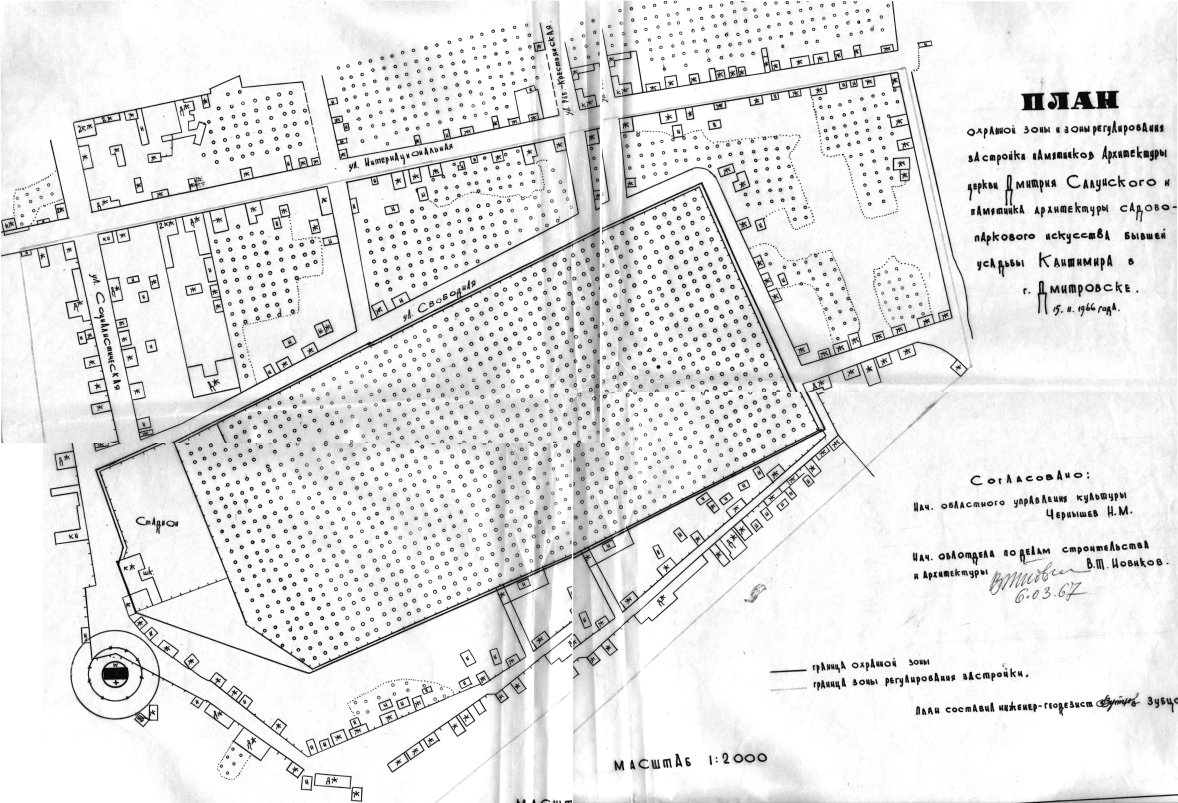
Орловская область, г. Дмитровск, ул.Свободная

Кадастровый номер, выписка из ЕГРН:

57:07:0050205:61,

57:07:0050205:62,

57:07:0050205:57

Историко-культурная/архитектурная ценность:

Памятник градостроительства и архитектуры

Охранный статус ОКН:

Федерального значения

приложение
Актуальные планировки усадеб с перечнем всех объектов находящихся на их территории:
Карта обследования недвижимого памятника истории и культуры «Усадьба Дмитрия Кантемира:
Скачать
План охранной зоны
Скачать
Паспорт на ОКН (советский и современный):
Паспорт ОКН - парк Кантемиров
Скачать
Паспорт ОКН - ограда дома
Скачать
Паспорт ОКН - Въездные ворота
Скачать
Паспорт по усадьбе Кантемиров
Скачать

усадьба на карте